古船模拟图
长江口横沙水域正在见证中国水下考古新的历史性突破——经过数小时水下持续提升,22根巨型弧形梁组成的长48米、宽19米、高9米、重约8800吨的沉箱装载着长江口二号古船,从打捞工程船“奋力轮”中部月池缓缓露出水面。古船的桅杆清晰可见,标志着这艘沉睡水下150多年的古船重见天日,被成功整体打捞出水。几天后,它将被“奋力轮”带入杨浦上海船厂旧址1号船坞,开启文物保护与考古发掘新阶段。
这是中国现代考古史上值得铭记的时刻!长江口二号古船是目前国内水下考古发现体量最大、保存最为完整的古代木帆船。它的发现,填补了我国清代晚期大型木帆船研究空白,印证了上海是一个历史悠久的港口城市和海上丝绸之路的重要节点,更是近代上海作为东亚乃至世界贸易和航运中心的实物见证。古船承载了丰富的历史信息,是一粒“时间胶囊”,为研究中国近代经济贸易史、长江黄金水道航运史和近代海上丝绸之路提供了重要资料。而其采用的世界首创的“弧形梁非接触文物整体迁移技术”,体现了我国综合国力的提升、科学技术水平的进步和海洋工程能力的飞跃,为国际水下文化遗产保护提供了中国案例、中国模式、中国经验。

古船的船舵的锚
文物考古大发现:填补清代晚期古沉船空白
“长江口二号古船考古是建设中国气派考古学的一次卓越实践,它的独特性首先体现在这是水下考古工作者在全国水下文物普查期间首次主动发现并进行考古调查的古船。” 国家文物局考古研究中心副主任孙键说。
时间回到2015年,在国家文物局指导下,上海市文物局组织国家文物局考古研究中心、上海市文物保护研究中心等单位在长江口崇明横沙水域开展水下考古重点调查时,通过声呐扫测等技术发现了一艘木质古船,考古编号为“长江口二号”。自此,拉开了解码长江口二号古船的序幕。
为进一步摸清长江口二号古船的性质和年代,从2016年开始,国家文物局考古研究中心、上海市文物保护研究中心等国内专业机构,每年对古船进行水下考古调查和多学科研究。今年3月2日,国家文物局、上海市政府联合宣布,长江口二号古船考古与文物保护项目正式启动。
部分出水文物
“从发现古船伊始,我们的研究工作就在同步进行,取得了一些有意思的成果。” 上海市文物保护研究中心副主任翟杨透露,从文物本体看,长江口二号古船确认年代为清代同治时期(公元1862—1875年),是罕见的保存完好的木质贸易帆船,体量巨大,残长约38.1米、宽约9.9米,是南海一号的1.5倍。水下探摸情况表明,古船的舱口围、舷甲板、主桅、船舵、铁锚等结构和船用属具保存基本完好。古船上船货数量巨大,小范围清理,便出水600余件完整和可复原的景德镇窑瓷器,仅一件高60厘米的嫁妆瓶内就塞满了50件青花团龙杯。瓷器种类丰富,有青花、粉彩、单色釉、窑变釉等,特别是出水的一件绿釉杯底书有“同治年制”款,为清同治时期瓷器提供了断代和组合标尺。此外,在船体及周围还出水了宜兴紫砂、越南产水烟罐、“时泰”木桶等大量文物,显示出长江口二号古船及船货与国内、国外更加广大时空范围都有着技术、贸易和文化的联系。
而根据古船年代和长宽比例推测,长江口二号古船可能是我国古代“四大船型”之中的沙船。这是清代晚期上海港的典型船型,也是上海市市标的重要组成部分。据记载,沙船最早得名于崇明地方的崇明沙,它的船型特征是船底较平,万一搁浅后可以坐滩而船身不止倾覆,较为安全,故上海及江浙地区船民多选用此船型。清代后期,据说上海港汇聚的沙船有3000余艘,巍巍壮观。然而,此前并未有实物保存下来,随着研究的深入,长江口二号古船有可能弥补这一缺憾。
古船遗址水域打捞现场
科技创新大集成:世界首创打捞技术获得成功
“长江口二号古船是弥足珍贵的文化遗产,船体的完整性和丰富的船载文物,对中国乃至世界的造船史、航运史、陶瓷史、经济史等研究具有十分重要的意义。”在上海市文化和旅游局党组成员、上海博物馆馆长褚晓波看来,长江口二号古船考古备受关注还在于科技创新大集成——从发现到水下调查、再到整体打捞,科技赋能始终是推动古船考古与文物保护工作的重要方式和核心动力。
浑水环境是中国乃至世界水下考古发展至今极难跨越的瓶颈。在长江口这片能见度几乎为零的江海交汇水域,找寻水下文化遗产犹如大海捞针。在水下考古工作启动之初,上海市文物局组织国家文物局考古研究中心、上海市文物保护研究中心、上海大学、国家水下文化遗产保护宁波基地等机构的考古工作者与科技工作者开展跨界合作,联合攻关,自主研发了获得国家专利的“浑水水域水下成像装置”,开发了获得上海市科学技术奖二等奖的“机器人水下考古装备关键技术与应用”,综合运用无人艇、多波束声呐、侧扫声呐、浅地层剖面仪和磁力仪等海洋物探设备,对长江口水域开展水下调查。
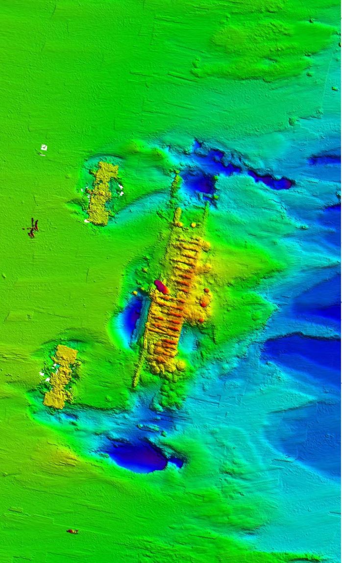
长江口二号古船多波束声呐图
在国家文物局同意采取整体打捞方式对长江口二号古船进行保护后,上海市文物局会同交通运输部上海打捞局,集成当前世界最先进的打捞工艺、技术路线、设备制造,最终研究并形成了世界首创的—“弧形梁非接触文物整体迁移技术”来打捞这艘古船。该项技术是大胆进行科研和技术创新的基础上而提出的全新打捞解决方案,创造性地融合了核电弧形梁加工工艺、隧道盾构掘进工艺、沉管隧道对接工艺,并运用液压同步提升技术、综合监控系统等目前全球最为先进的高新技术。此外,为了平稳安全提升弧形梁形成的沉箱并顺利将其护送至船坞,创造性地设计并建造出一艘专用打捞工程船“奋力轮”。“奋力轮”主尺度长 130 米,宽 34 米,型深 9 米,设计吃水 6 米,两端设有同步提升装置,在船中部开口,自带一个长 56米、宽20米的月池。穿梁完成后的弧形梁沉箱装载着古船直接由“奋力轮”从海底提升至中部月池,并转运、卸载至船坞,一艘船完成了提升、运输、卸载三项任务,具有安全性高、操作性强、科技含量高等诸多优点。
弧形梁穿梁现场
今年9月6日,长江口二号古船整体打捞工程主作业船“大力号”到达古船所在水域,正式开展古船整体打捞和考古保护工作。9月12日,古船整体打捞专用“端板—纵梁”组合框架沉放至设计位置。9月29日,海上施工进入安装弧形梁阶段,正式下穿22组弧形梁中的第1组。11月15日,第22组弧形梁穿梁到位。11月17日,专用工程船“奋力轮”到达古船所在水域,整体打捞出水进入关键阶段。11月20日深夜,经过76天的海上施工奋战,古船成功整体打捞出水,充分体现了文物保护与科技创新融合发展,为水下考古整体打捞模式提供了新方法、开辟了新思路、增加了新案例。
打捞出水图
相关链接:长江口二号古船考古创下的”第一“:
中国水下考古工作者在全国水下文物普查期间首次主动发现并进行考古调查的古船
国内水下考古发现体量最大、保存最为完整的古代木帆船,填补了清代晚期古沉船空白
我国规模最大的古船考古与文物保护项目
采用世界首创最先进的“弧形梁非接触文物整体迁移技术”
世界首个古船考古发掘、整体迁移、文物保护与博物馆建设展示同步实施的项目
建设中国特色中国风格中国气派考古学的一次卓越实践
中国水下考古迈入世界一流水平的重要标志之一
作者:李婷
编辑:郭超豪
责任编辑:李婷
*文汇独家稿件,转载请注明出处。